Our research interest comprises anything that moves on the microscale:
How to move on the microscale? How do cells do it? What can we learn from that? How can we mimic cell’s motion or integrate biological components into smart microdevices that move autonomously and perform desired tasks?
Bioinspired microrobots
As we look at how nature has designed marvelous swimmers on the microscale, we can learn from them in order to design highly functional artificial microrobots with potential applications in medicine. Areas of possible applications include non-invasive diagnostics and surgery, cargo delivery and regenerative therapy. We use innovative techniques such as 3Dprinting, bioprinting and material functionalization to obtain smart & soft small scale robots targeting specific medical applications.

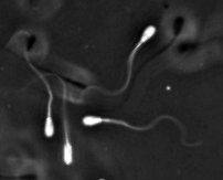
Sperm biology
Specifically, I am interested in studying sperm migration and thereby contributing to the understanding of reasons for infertility. Especially the influence of physical properties, such as surface interactions, charge and viscosity, on successful sperm migration have yet to be investigated. Mimicking in vivo conditions in the lab and investigating sperm kinetics and metabolism under these conditions is my main route for these investigations.
Novel diagnostic tools
Furthermore, I aim to develop new diagnostic tools with the help of biohybrid microrobots. My goal is to equip sperm cells with smart components that are biocompatible, biodegradable and have the ability to
- analyse spermatozoa regarding their surface properties
- actuate and guide sperm cells
- fulfill further functionalities such as sensing and cargo delivery
These research areas have the mission to contribute to the understanding of sperm migration and reasons for infertility.